Bt27098
|
芦屋市川西町7−7 |
売り土地 2号地
 7,380万円 |
阪神本線 阪神芦屋駅 |
− 6分 |
112.25m2 |
|
更地 |
|
  
|
◆南向き陽当たり良好!
◆南側公道幅員約7mに間口約7.0mが面した整形地です
◆更地につき即建築可
◆建築条件なし/お好きなハウスメーカーや工務店で建築可
◆阪神「芦屋駅」徒歩6分/JR「芦屋駅」徒歩12分/阪急「芦屋川駅」徒歩15分
◆ローソン芦屋川西店・徒歩1分/津知公園・徒歩3分/芦屋川河川敷・徒歩3分/パル・ヤマト芦屋店・徒歩3分/パントリー芦屋店・徒歩6分/ライフ阪神芦屋店・徒歩6分 |
Bt27388
|
芦屋市浜芦屋町10−3 |
売り土地 7,980万円 |
阪神本線 阪神芦屋駅 |
− 11分 |
243.39m2 |
|
上物有 |
|
  
|
◆東向き陽当たり通風良好!
◆東側道路に間口約5.0mに間口約10mが面した整形地です
◆建築条件なし/お好きなハウスメーカーや工務店で建築可
◆古家あり
◆阪神「芦屋駅」徒歩11分/JR「芦屋駅」徒歩18分/JR「芦屋駅」バス8分「テニスコート前」バス停徒歩3分/阪急「芦屋川駅」バス10分「テニスコート前」バス停徒歩3分
◆芦屋公園(松浜公園)徒歩2分/スーパーおだ・徒歩4分/ローソン芦屋市役所南店・徒歩4分/芦屋市役所・徒歩5分/パントリー芦屋店・徒歩10分/ライフ芦屋呉川町店・徒歩8分/セブンイレブン芦屋呉川町店・徒歩8分/コープ浜芦屋・徒歩9分/パントリー芦屋店・徒歩11分 |
Bk27611
|
芦屋市浜芦屋町10−3 |
中古一戸建て 7,980万円 |
阪神本線 阪神芦屋駅 |
− 11分 |
243.39m2 162m2 |
3SLDK 2 |
S55/06 空家 |
|
  
|
◆東向き陽当たり通風良好!
◆東側道路に間口約5.0mに間口約10mが面した区画です
◆4SLDKの間取りです
◆駐車場は2台分あり
◆阪神「芦屋駅」徒歩11分/JR「芦屋駅」徒歩18分/JR「芦屋駅」バス8分「テニスコート前」バス停徒歩3分/阪急「芦屋川駅」バス10分「テニスコート前」バス停徒歩3分
◆芦屋公園(松浜公園)徒歩2分/スーパーおだ・徒歩4分/ローソン芦屋市役所南店・徒歩4分/芦屋市役所・徒歩5分/パントリー芦屋店・徒歩10分/ライフ芦屋呉川町店・徒歩8分/セブンイレブン芦屋呉川町店・徒歩8分/コープ浜芦屋・徒歩9分/パントリー芦屋店・徒歩11分 |
Bk28283
|
芦屋市津知町1−25 |
中古一戸建て 8,730万円 |
JR東海道線 甲南山手駅 |
− 9分 |
96.2m2 100.39m2 |
4LDK |
H09/03 空家 |
|
  
|
◆1997年(平成9年)3月に三井ホーム施工の注文住宅です
◆南側に庭スペースがあり北側は国道2号線に面し陽当たり良好!
◆LDKは約18.7帖あり/LDは吹き抜けあり
◆駐車場あり
◆JR「甲南山手駅」徒歩9分・「芦屋駅」徒歩14分/阪神「芦屋駅」徒歩9分/阪急「芦屋川駅」徒歩12分 |
Bt28289
|
芦屋市津知町1−25 |
売り土地 8,730万円 |
JR東海道線 甲南山手駅 |
− 9分 |
96.2m2 |
|
上物有 |
|
  
|
◆建築条件なし/お好きなハウスメーカーや工務店で建築可
◆1997年(平成9年)3月に三井ホーム施工の注文住宅です
◆南側に庭スペースがあり北側は国道2号線に面し陽当たり良好!
◆LDKは約18.7帖あり/LDは吹き抜けあり
◆駐車場あり
◆JR「甲南山手駅」徒歩9分・「芦屋駅」徒歩14分/阪神「芦屋駅」徒歩9分/阪急「芦屋川駅」徒歩12分 |
Bt28246
|
芦屋市津知町2−18 |
売り土地 8,780万円 |
JR東海道線 甲南山手駅 |
− 6分 |
91.63m2 |
|
上物有 |
|
 
|
◆国道2号線に面し陽当たり通風良好!
◆建築条件なし/お好きなハウスメーカーや工務店で建築可
◆古家あり
◆JR「甲南山手駅」徒歩6分・「芦屋駅」徒歩17分/阪神「芦屋駅」徒歩10分/阪急「芦屋川駅」徒歩15分
◆津知公園・徒歩1分/ローソン芦屋川西町店・徒歩5分/セルバ甲南山手(関西スーパー等あり)・徒歩5分/パルヤマト芦屋店・徒歩7分/パントリー芦屋店・徒歩10分 |
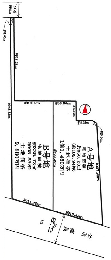
Bt28224
|
芦屋市平田町8−14 |
売り土地 B号地 9,880万円 |
阪神本線 阪神芦屋駅 |
− 14分 |
325.73m2 |
|
更地 |
|
 
|
◆南向き陽当たり良好!
◆南側公道幅員約8.2mに間口約11.26mが面した整形地です
◆建築条件なし/お好きなハウスメーカーや工務店で建築可
◆風致地区(第一種低層住居専用地域)の閑静な住宅街です
◆阪神「芦屋駅」徒歩14分/JR「芦屋駅」徒歩21分/JR「芦屋駅」バス6分「テニスコート前」バス停徒歩6分
◆松浜公園(芦屋公園)・徒歩5分/芦屋郵便局・徒歩11分/ローソン芦屋市役所前店・徒歩12分/芦屋市役所・徒歩13分/パントリー芦屋店・徒歩14分 |
Bt28225
|
芦屋市平田町8−14 |
売り土地 A号地 11,480万円 |
阪神本線 阪神芦屋駅 |
− 14分 |
350.94m2 |
|
更地 |
|
 
|
◆南向き陽当たり良好!
◆南側公道幅員約8.2mに間口約13.43mが面した整形地です
◆建築条件なし/お好きなハウスメーカーや工務店で建築可
◆風致地区(第一種低層住居専用地域)の閑静な住宅街です
◆阪神「芦屋駅」徒歩14分/JR「芦屋駅」徒歩21分/JR「芦屋駅」バス6分「テニスコート前」バス停徒歩6分
◆松浜公園(芦屋公園)・徒歩5分/芦屋郵便局・徒歩11分/ローソン芦屋市役所前店・徒歩12分/芦屋市役所・徒歩13分/パントリー芦屋店・徒歩14分 |
Bm28062
|
芦屋市川西町3−28 |
ザ・パークハウス芦屋レジデンス 11,800万円 |
JR東海道線 JR芦屋駅 |
− 10分 |
89.62m2 |
2LDK 5/5(B1) |
R03/02 居住中 |
|
  
|
◆南向き陽当たり通風良好!/5階のお部屋で眺望あり♪
◆2021年(令和3年)2月に三菱地所レジデンス(株)旧分譲で内廊下仕様のハイグレードマンションです
◆専有面積89.62uの2LDKです
◆LDKは約21.8帖あり/LDは床暖房付/システムキッチンはディスポーザー付/全居室に窓と収納あり/各サッシは複層ガラス仕様/浴室はミストサウナ機能付の暖房乾燥機付/セコムのセキュリティシステム付
◆敷地内駐車場・空き有り15,000円〜27,000円/月
◆ペット2匹まで飼育可(規約あり)
◆阪神「芦屋駅」徒歩4分/JR「芦屋駅」徒歩10分/阪急「芦屋川駅」徒歩9分
◆川西北公園・徒歩2分/ローソン芦屋川西店・徒歩3分/芦屋川河川敷・徒歩3分/津知公園・徒歩3分/前田公園・徒歩3分/パル・ヤマト芦屋店・徒歩5分/パントリー芦屋店・徒歩7分/セルバ甲南山手・徒歩9分/ライフ阪神芦屋店・徒歩10分 |
Bm27883
|
芦屋市平田町5−25 |
プラウド芦屋平田町 13,000万円 |
阪神本線 阪神芦屋駅 |
− 8分 |
112.76m2 |
2SLDK 1/3(B1) |
H27/10 居住中 |
|
  
|
◆東向き陽当たり良好!
◆2015年(平成27年)10月に野村不動産(株)旧分譲でハイグレードな設備が充実しています
◆専有面積112.76uの2SLDKです
◆LDKは約27.2帖あり/LDは床暖房付/システムキッチンは食洗機とディスポーザー付/全居室に窓と収納あり/洋室約9帖の洋室はウォークインクローゼット付/複層ガラス採用/浴室はミストサウナ機能付の暖房乾燥機あり/玄関にシューズインクローゼットあり/アルコーブにトランクルームあり(使用料0円)/東西両面にバルコニーあり/東側テラスはスロップシンク付
◆トリプルセキュリティ(エントランス→各住戸棟→住戸)採用/24時間ゴミ出し可
◆敷地内駐車場・空き無し20,000円〜24,000円/月
◆ペット可(規約あり)
◆阪神「芦屋駅」徒歩8分/JR「芦屋駅」バス8分「テニスコート前」バス停徒歩2分
◆芦屋公園(松浜公園)・徒歩1分/ローソン芦屋市役所前店・徒歩4分/芦屋郵便局・徒歩5分/芦屋市役所・徒歩6分/パントリー芦屋店・徒歩8分 |
Bm28126
|
芦屋市浜芦屋町3−5 |
ワコーレ芦屋クラウンズ 13,000万円 |
阪神本線 阪神芦屋駅 |
− 7分 |
100.08m2 |
3LDK 1/3 |
R06/10 居住中 |
|
  
|
◆南向き陽当たり良好!
◆2024年(令和6年)10月に和田興産(株)旧分譲の美宅です
◆専有面積100.80uの3LDKです
◆LDKは約24.0帖あり/LDは床暖房付/全居室に収納あり/シューズクロークあり/玄関前にアルコーブあり/ZEH−マンションReady/エネファーム完備/セキュリティシステム付(770円/月)
◆敷地内駐車場・空き有り18,500円/月
◆阪神「芦屋駅」徒歩7分/JR「芦屋駅」徒歩16分
/阪急「芦屋川駅」徒歩20分
◆松浜公園(芦屋公園)・徒歩1分/ローソン芦屋市役所南店(24時間営業)・徒歩3分/芦屋市役所・徒歩4分/精道小学校・徒歩5分/パントリー芦屋店・徒歩7分/三井住友銀行芦屋支店・徒歩7分/芦屋郵便局・徒歩7分/ライフ芦屋呉川町店・徒歩9分 |
Bk26871
|
芦屋市伊勢町6−6 |
中古一戸建て 13,800万円 |
阪神本線 阪神芦屋駅 |
− 12分 |
464.84m2 179.68m2 |
5SLDK 2 |
H09/08 居住中 |
|
  
|
◆南向き陽当たり良好!
◆南側公道幅員約8.3mに面す
◆土地約140.61坪あり
◆軽量鉄骨造の建物は約42.86坪の5SLDKです
◆2階の全居室に窓と収納あり/南向きのバルコニー2カ所あり
◆駐車場は3台分あり
◆阪神「芦屋駅」徒歩12分/JR「芦屋駅」徒歩17分/JR「芦屋駅」バス7分「呉川町」バス停徒歩4分
◆ライフ芦屋呉川町店・徒歩4分/セブンイレブン芦屋呉川町店・徒歩5分/コープ浜芦屋・徒歩5分/芦屋市立図書館・徒歩5分/呉川公園・徒歩6分 |
Bt27787
|
芦屋市松浜町6−17 |
売り土地 15,000万円 |
阪神本線 阪神芦屋駅 |
− 9分 |
364.32m2 |
|
上物有 |
|
  
|
◆陽当たり良好!
◆西側公道幅員約5.0mに間口約14.5mが面した整形地です
◆建築条件なし/お好きなハウスメーカーや工務店で建築可
◆古家あり
◆阪神「芦屋駅」徒歩9分/JR「芦屋駅」徒歩18分/JR「芦屋駅」バス8分へ「芦屋公園テニスコート」バス停徒歩3分
◆松浜公園(芦屋公園)・徒歩2分/ローソン芦屋市役所前店・徒歩6分/コープ浜芦屋・徒歩8分/芦屋市役所・徒歩7分/パントリー芦屋店・徒歩9分/ライフ芦屋呉川町店・徒歩10分
◆閑静な住宅街です |
Bt27447
|
芦屋市精道町12−17 |
売り土地 21,500万円 |
阪神本線 阪神芦屋駅 |
− 5分 |
286.29m2 |
|
更地 |
|
 
|
◆南西向き陽当たり良好!
◆南西側公道幅員約7.7mに間口約13.64mが面した整形地です
◆建築条件なし/お好きなハウスメーカーや工務店で建築可
◆更地につき即建築可
◆阪神「芦屋駅」徒歩5分/JR「芦屋駅」徒歩10分/阪急「芦屋川駅徒歩17分
◆芦屋市立精道こども園・徒歩2分/ローソン100芦屋大桝町店・徒歩4分/セブンイレブン芦屋公光町店・徒歩5分/精道小学校・徒歩5分/パントリー芦屋店・徒歩5分/大枡公園・徒歩5分 |
Bt28285
|
芦屋市平田北町2−3 |
売り土地 24,000万円 |
阪神本線 阪神芦屋駅 |
− 1分 |
307.25m2 |
|
更地渡し |
|
  
|
◆南向き陽当り良好!
◆南側公道幅員約3.85mに間口約14.19mが面した整形地です
◆売主負担で更地渡し
◆建築条件なし/お好きなハウスメーカーや工務店で建築可
◆阪神「芦屋駅」徒歩1分/JR「芦屋駅」徒歩15分/阪急「芦屋川駅」徒歩15分
◆芦屋川河川敷・徒歩1分/芦屋郵便局・徒歩2分/川西運動場・徒歩3分/ローソン芦屋市役所前店・徒歩4分/パントリー芦屋店・徒歩4分/パルヤマト芦屋店・徒歩4分 |
Bk27837
|
芦屋市津知町12−9 |
中古一戸建て 24,800万円 |
阪神本線 阪神芦屋駅 |
− 7分 |
293.7m2 103.99m2 |
4LDK 1 |
H07/10 空家 |
|
  
|
◆南向き3方角家で陽当たり通風良好!
◆土地面積約88.84坪あり
◆建物面積約31.45坪の4LDKです
◆道路と高低差なし
◆駐車場あり
◆建て替え用地としてもご検討ください
◆阪神「芦屋駅」徒歩7分/JR「甲南山手駅」徒歩12分/阪急「芦屋川駅」徒歩15分
◆津知公園・徒歩2分/ローソン芦屋川西町店・徒歩3分・パルヤマト芦屋店・徒歩3分/パントリー芦屋店・徒歩7分/セルバ甲南山手(関西スーパー等あり)・徒歩9分
◆芦屋市津知町12−13 |
Bt27936
|
芦屋市津知町12−9 |
売り土地 24,800万円 |
阪神本線 阪神芦屋駅 |
− 7分 |
293.7m2 |
|
上物有 |
|
  
|
◆南向き3方角地で陽当たり通風良好!
◆土地面積約88.84坪あり
◆建築条件なし/お好きなハウスメーカーや工務店で建築可
◆道路と高低差なし
◆古家あり
◆阪神「芦屋駅」徒歩7分/JR「甲南山手駅」徒歩12分/阪急「芦屋川駅」徒歩15分
◆津知公園・徒歩2分/ローソン芦屋川西町店・徒歩3分・パルヤマト芦屋店・徒歩3分/パントリー芦屋店・徒歩7分/セルバ甲南山手(関西スーパー等あり)・徒歩9分
◆芦屋市津知町12−13 |